二泉早报:无锡一小区给业主发钱18万元!
二泉早报:无锡一小区给业主发钱18万元!


【一】
交通管制
8月22日起
G25长深高速
新昌枢纽-桂庄枢纽段(南京方向)路面
将进行半幅全封闭养护施工
期间,部分路段、匝道将封闭
请过往车辆注意绕行
施工概况
G25长深高速新昌枢纽-桂庄枢纽段(南京方向)路面使用性能持续衰减,面层材料老化严重,裂缝次生病害严重,为提高道路技术状况。同时由于该路段交通流量大,为缩短工期,保障交通安全、施工安全和施工质量,故采取半幅全封闭养护施工模式。
施工时间
交通管制内容
2024年8月22日-2024年9月27日
① 长深高速新昌枢纽-桂庄枢纽南京方向主线封闭
② 长深高速新昌枢纽-桂庄枢纽南京方向主线匝道封闭③ 新昌枢纽G4012溧宁高速镇江方向转G25长深高速南京方向出口匝道封闭④ 新昌枢纽G4011扬溧高速杭州方向转G25长深高速南京方向出口匝道封闭
⑤ 溧阳上兴、曹山、白马、溧水东互通往南京方向入口匝道封闭。

图1 封闭路段示意图

图2 强制分流点及收费站封闭示意图
绕行线路
1、高速绕行路线
(1)安徽南部地区前往安徽中部及以北地区可绕行S68溧芜高速-S55宁宣高速;(2)安徽南部地区前往山东地区可绕行G4011扬溧高速;(3)无锡宜兴、常州溧阳地区前往安徽、南京、淮安、宿迁、徐州、镇江、山东地区可绕行G4011扬溧高速-G4221沪武高速或者G4012溧宁高速-S68溧芜高速-S55宁宣高速;(4)浙江地区前往连南京、安徽地区可绕行G4011扬溧高速-G4221沪武高速、G4012溧宁高速-S68溧芜高速或者G50沪渝高速;(5)浙江地区前往淮安、宿迁、徐州、山东等地区可绕行G4011扬溧高速。

图3 高速公路绕行路线
2、普通公路绕行路线
车辆可通过南渡收费站、后周收费站下高速,绕行普通公路G104、S341新建、S341老路、S246等道路前往目的地。

图4 普通公路绕行路线
【二】
全国百强!
近日
赛迪顾问发布
《2024年中国园区经济
高质量发展研究报告》
(下称《报告》)
及《园区高质量发展百强榜单(2024)》
无锡共有3家园区上榜
分别为
无锡高新技术产业开发区
锡山经济技术开发区
江阴高新技术产业开发区

【三】
“太湖里”睦邻中心即将开业


项目实景图
项目位于滨湖区马山街道梅梁路与乐山路交叉口西北侧,总建筑面积约4.7万平方米,山水资源优越,道路通达性强,高速路快速接入无锡市区、常州武进、宜兴等地,链接苏南其他城市,是周边唯一大型商业综合体,未来将填补马山街道大型商业综合体的空白,以成熟的商业配套和便捷的休闲娱乐体验,带动区域的整体发展。
该项目将聚集美食餐饮、休闲娱乐、生活配套、家庭亲子、精品酒店等多个业态,基本满足周边居民及游客的实际需求,目前项目已与亚朵酒店、青泰足浴、中影时代影城、肯德基等众多知名连锁品牌达成合作。
【四】
无锡新增一条高铁!
近日,江苏省发展和改革委员会批复了,盐城经泰州无锡常州至宜兴铁路,简称(盐宜铁路)盐城至靖江段、惠山至宜兴段可行性研究报告。
据了解,盐宜铁路盐城至靖江段、惠山至宜兴段可行性研究报告已获批准,至此,除靖江至江阴过江段外,其余区段可研均已批复。
【五】
江阴封闭施工通告
因2024年无锡市普通国省道养护工程(S259)工程施工需要,自2024年8月19日至2024年9月15日,对澄鹿路(华陆路至红旗路段)进行半幅道路封闭施工。

该段落交通导改分两步实施,在施工实施期间,该路段采取过往车辆借对向车道通行、行人及非机动车正常通行的交通管制措施。
第一阶段:
8月19日—8月31日,澄鹿路(华陆路~红旗路段)由西向东分段全封闭施工,过往车辆借对向车道通行,行人及非机动车正常通行。

第二阶段:
9月3日—9月15日,澄鹿路(红旗路~华陆路段)由东向西分段全封闭施工,过往车辆借对向车道通行,行人及非机动车正常通行。

【六】
无锡最高峰,黄塔顶焕新
近日
位于宜兴张渚镇岭下村的
无锡最高峰
同时也是苏南最高峰
黄塔顶景区一期改造提升工程完成
成为宜兴新晋网红打卡地

黄塔顶,海拔611.5米,属天目山脉,站在山顶可远眺苏浙皖三省,有完好的山路石阶,山间竹林茂盛,吸引许多爱好者前来登山徒步,但长期以来在安全、卫生等方面存在隐患缺失。
据张渚镇建设局周鹏介绍,此次改造,主要包括黄塔顶山顶观景平台四周增设安全围栏、休息座椅、垃圾箱,以及沿途登山古道台阶修复、增设引导标识、海拔打卡点等,颜值、便利以及安全等得到大大提升。
改造提升工程完成后,在抖音等网络平台上,许多游客自发上传的视频、推文等点赞、转发数上千,成为长三角地区登山徒步圈热议的焦点之一。“每个岔路口都有全新的指路牌,对新手小白非常友好,新的观景平台视野很开阔。”多次前往黄塔顶打卡的徒步爱好者“霞客行”说。
下阶段,张渚还将对黄塔顶山脚下停车场、公共厕所、绿化节点做进一步改造提升。
据悉,龙脊线沿途三镇张渚、湖㳇、太华,正在进行景观节点打造、应急救援通道、山顶观景平台等的改造提升工作,计划在9月底完工。
值得一提的是,黄塔顶紧邻竹海、窑湖小镇、龙池山等热门景区,将形成旅游联动效应,这座无锡最高峰将被更多人熟知。
【七】
警告罚款!无锡这两家诊所
宜兴市柚觅医疗美容诊所有限公司
宜兴美丞医疗美容诊所有限公司
谷雨
违反相关医疗规定被警告


【八】
无锡一小区给业主发钱18万元!
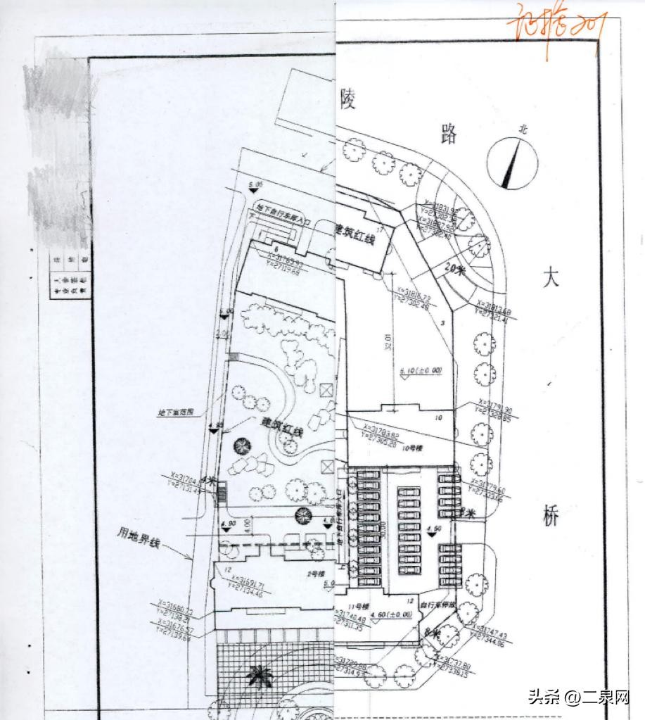
江阴某小区的业主们狠狠地“凡尔赛”了一把!原来是,小区给业主发了18万余元!这背后的故事可比电影还精彩!事情的经过是这样的,这个小区在2004年建成,商业用房周围与市区公共道路间设有一些停车位。小区建成后很长一段时间内,这些停车位都处于开放状态,小区业主们对于车位的权属也没太在意。


事情的转折发生在2017年,当初出于规范停车等原因经相关部门审批,开发商对小区东面商业用房的外围停车位设置了停车道闸并委托给商户管理,相关停车位被相应商户用于仅限在此消费的客户使用。眼见开发商把外围的停车位给“锁”了起来,这下居民们不乐意了,2022年10月,小区新一届业主委员会成立后他们展开了调查。

业委会发现,东面商户周边的停车位实际位于小区建筑规划红线内是小区的公共用地!于是,一纸诉状业主们将开发商和商户告上了法庭。
最终法院依法作出判决,认定案涉车位为占用业主公共场地的停车位,依法应属于江阴某小区全体业主所有,开发商、商户应当在判决生效后拆除设置在车位外的道闸。
2023年底,喜讯传来第一笔外围车位公共收益款到账,整整18万余元!
听取业主意见后,业委会决定用部分收益款给业主们分红。最终该小区的405户业主收到了小区发的“年终奖”——10公斤大米和300元现金,事情也算是有了圆满的结果。

